1.050.000,00 €

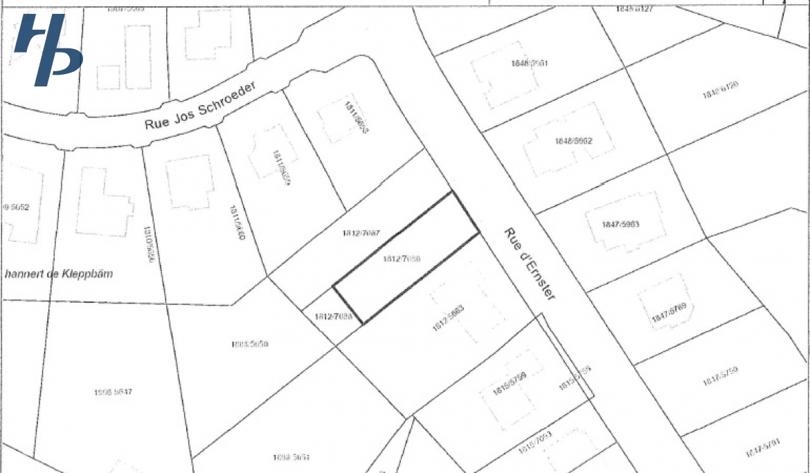
Baugrundstück in Oberanven  - Oberanven

1.050.000,00 €

Markt : Zu verkaufen

Kategorie : Grundstück

Projekt :  k. A. -

Verfügbarkeit : Sofort

Energieklasse :

  • Energie A
  • Isolierung A
1.050.000,00 €
Fläche : 400 m²
Zimmerzahl : - Nicht verfügbar -
Anzahl Badezimmer : - Nicht verfügbar -
Baujahr : - Nicht verfügbar -

Details

Baugrundstück zu verkaufen – Oberanven (Gemeinde Niederanven)

Zum Verkauf steht ein Baugrundstück in attraktiver Lage in Oberanven, Gemeinde Niederanven.

  • Grundstücksfläche: 7,04 Ar

  • Frei von Bauverpflichtung

  • Pläne mit Baugenehmigung vorhanden (nicht verpflichtend)

Dieses Grundstück bietet eine hervorragende Gelegenheit zur Realisierung eines individuellen Bauprojekts, mit freier Wahl von Architekt und Bauunternehmen.
Die vorhandenen Pläne können genutzt werden, sind jedoch keine Voraussetzung.

Ruhige, angenehme Wohnlage mit guter Anbindung und Nähe zu allen wichtigen Infrastrukturen.

Für weitere Informationen oder eine Besichtigung stehen wir Ihnen gerne zur Verfügung.

Lädt ...